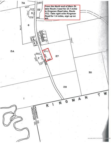
292 Kingman Rd Macwahoc Plt, ME 04451-4007
Visit 292 Kingman Rd in Macwahoc Plt, ME, 04451-4007
This profile includes property assessor report information, real estate records and a complete residency history.
We have include the current owner’s name and phone number to help you find the right person and learn more.
For Sale
$17,900

Market Activities
Apr 2019 - present
292 Kingman Rd
Price history :
Recent residents
Resident Name | Phone | More Info |
---|---|---|
Sandra Delaite | (207) 765-2582 | Status: Renter Occupation: Administrative Support Occupations, Including Clerical Occupations Education: Associate degree or higher |
Sandra Pullen | (207) 765-2582 | |
Kirk W Pullen, age 65 |